Проект водоснабжения с. Бурибай Хайбуллинского района
2.3 Трассировка и конструирование водопроводной сети
Первоочередной задачей при проектировании и расчете водоводов и водопроводных сетей является обоснование выбора трасс линий на плане. Трассировку водоводов и сетей производят исходя из условия обеспечения требуемой надежности их работы и наименьшей строительной стоимости. Размещение линий водоводов и сетей зави
сит от следующих условий:
- местоположения источников водоснабжения, характера планировки населенного пункта или промышленного предприятия, размещения отдельных потребителей воды, формы и размеров жилых кварталов, цехов, зеленых насаждений, расположения проездов и т. п.;
- наличия естественных и искусственных препятствий для прокладки труб (реки, овраги, каналы, железные и шоссейные дороги и т.п.);
- рельефа местности.
На выбор трассы магистральных линий существенное влияние оказывает рельеф местности. Их по возможности следует прокладывать по наиболее возвышенным точкам территории. При соблюдении этих условий наличие достаточных свободных напоров в магистральной сети гарантирует создание достаточных напоров и в распределительной сети, получающей воду от магистральной сети и располагаемой на более низких отметках рельефа. Подобная трассировка магистралей обеспечивает относительно меньшее давление в трубах больших диаметров. Кроме того, выбор трассы магистральных линий зависит от места расположения регулирующих емкостей.
Разработку схемы водопроводной сети населенных пунктов начинают с определения места расположения регулирующей емкости. Затем наносят на план основные линии водопроводной сети с таким расчетом, чтобы они снабжали водой все жилые районы и промышленные предприятия. Из числа линий, расположенных в направлении движения основной массы воды и подающих воду к регулирующим емкостям, назначают магистрали. Они должны быть равномерно распределены на территории населенного пункта, охватывая все наиболее крупные водопотребители. Для надежности водоснабжения по основному направлению прокладывают не менее двух параллельных -магистральных линий на расстоянии 400—800 м. Основные магистрали соединяют перемычками обычно через 600—1000 м. К регулирующим емкостям должна быть предусмотрена подача воды не менее чем по двум линиям.
Выполнив трассировку сети, задают режим подачи воды в нее и определяют расходы воды, поступающие в сеть, а также объемы регулирующих емкостей. Дальнейшая методика расчета и проектирования сети заключается в следующем: намечают расчетную схему отбора воды из сети; задают начальное распределение потоков воды по отдельным линиям сети и находят расчетные расходы воды по участкам; руководствуясь давлением воды, геологическими и другими местными условиями, выбирают материал труб; определяют диаметры труб, потери напора па участках; осуществляют гидравлическую увязку сети, подбор насосов, уточняют первоначально принятые объемы регулирующих емкостей и расходы воды, подаваемой в сеть.
Водопроводная сеть является, как правило, наиболее дорогостоящей частью системы водоснабжения объекта. Она должна удовлетворять основному требованию — бесперебойная подача воды в необходимом количестве к точкам ее отбора под требуемым напором. В соответствии с этим к водопроводным сетям предъявляют следующие требования: герметичность, минимальные гидравлические сопротивления на трение при движении воды в трубах, высокое сопротивление внутренними внешним нагрузкам, длительный срок службы труб и оборудования на сети. Кроме того, водопроводные сети должны удовлетворять требованиям максимальной экономичности.
Трубы, используемые для устройства водопроводных сетей, должны обеспечивать возможность их простого, быстрого и надежного соединения. Они должны быть рассчитаны на давление транспортируемой воды на внутреннюю поверхность, а также иметь необходимую прочность для сопротивления давлению грунта, прогибам от собственного веса и нагрузкам от транспорта.
Важное значение имеет герметичность как самих труб, так и стыковых соединений. Она является необходимым условием успешной и экономичной эксплуатации водопровода. При нарушении герметичности трубопроводов происходят утечки воды, повышаются эксплуатационные затраты, создается опасность загрязнения питьевой воды в результате инфильтрации грунтовой. Кроме того, утечки вызывают размыв грунта, что приводит к серьезным авариям.
В данном проекте приняты полимерные водопроводные трубы по ГОСТу 18599 - 83 Достоинствами труб являются: долговечность, малые сопротивления, малый вес, простота монтажа и демонтажа, санитарная надёжность.
2.4 Гидравлический расчет водопроводной сети
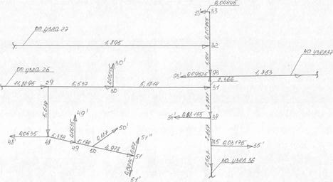
Расчётные расходы воды по участкам сети представлены на схеме отбора воды в л/с - рис. 1
Гидравлический расчет кольцевой сети выполнен с использованием таблиц [3 ]Потери напора, м
h = l.2S*q2 (8)
где S - сопротивление участка трубы
Рисунок 1- Схема отбора воды (узлы 1-2;1-54;1-53;1-14;1-16)
Рисунок 1- Схема отбора воды (узлы 52-61; 54-55;14-69), продолжение
Рисунок 1- Схема отбора воды (узел 2-3), продолжение
Рисунок 1- Схема отбора воды (узлы 16-18; 18-27; 18-26), продолжение
Рисунок 1- Схема отбора воды (узлы 26-29; 27-32; 29-35; 29-93), продолжение
Рисунок 1- Схема отбора воды (узлы 93-87; 87-92), продолжение
Рисунок 1- Схема отбора воды (узлы 35-36; 73-74), продолжение
Рисунок 1- Схема отбора воды (узлы 76-77;70-71;73-74), продолжение
Рисунок 1- Схема отбора воды (узлы 64-65;69-68;70-71;76-77), продолжение
S=S0*q (9)
где: Sо - удельное сопротивление, принимаемое в зависимости
от диаметра и материала труб [3 ] q q- расход воды по участку, л/с
Результаты гидравлического расчета сети сведены в таблицу
Таблица 3 Гидравлический расчет сети
|
Номер участка |
Длина, 1,м |
Расход, д. л/с |
Диаметр, d мм |
Скорость, м/с |
Уд.сопротивление, S0*W6 |
Сопротивление S=SO*I |
Потери напора, п, м | |
|
1 |
2 |
3 |
4 |
5 |
6 |
7 |
8 | |
|
в 3-1 |
455 |
33,51 |
250 |
0,68 |
0,000001454 |
0,0020266 |
2,73 | |
|
1-2 |
350 |
18,51 |
200 |
0,58 |
0,00001426 |
0,004991 |
2,05 | |
|
1-52 |
70 |
15 |
140 |
1,45 |
0,00009162 |
0,0064134 |
1,73 | |
|
2-3 |
295 |
1,937 |
90 |
9,54 |
0,0009268 |
0,273406 |
1,23 | |
|
3-4 |
200 |
0,9509 |
90 |
0,22 |
0,0009268 |
0,18536 |
0,2 | |
|
4-5 |
250 |
0,6969 |
90 |
0,22 |
0,0009268 |
0,2317 |
0,14 | |
|
5-5' |
100 |
0,127 |
90 |
0,019 |
0,0009268 |
0,09268 |
0,002 | |
|
5-6 |
120 |
0,2524 |
90 |
0,039 |
0,0009268 |
0,111216 |
0,01 | |
|
6-7 |
195 |
0,2476 |
90 |
0,038 |
0,0009268 |
0,180726 |
0,015 | |
|
3-7 |
365 |
0,6112 |
90 |
0,096 |
0,0009268 |
0,338282 |
0,1 | |
|
52-52' |
20 |
0,025 |
90 |
0,004 |
0,0009268 |
0,018536 |
0,000014 | |
|
52-61 |
225 |
10 |
140 |
1,57 |
0,00009162 |
0,020615 |
2,47 | |
|
52-53 |
545 |
4,9 |
180 |
0,223 |
0,00002476 |
0,0134942 |
0,41 | |
|
53-54 |
105 |
0,956 |
90 |
0,22 |
0,0009268 |
0,097314 |
0,11 | |
|
54-55 |
35 |
1 |
90 |
0,24 |
0,0009268 |
0,032438 |
0,04 | |
|
55-62 |
115 |
2 |
90 |
10,4 |
0,0009268 |
0,106582 |
0,51 | |
|
55-56 |
95 |
0,854 |
90 |
0,13 |
0,0009268 |
0,088046 |
0,08 | |
|
61-62 |
185 |
4,7 |
90 |
0,74 |
0,0009268 |
0,171458 |
4,55 | |
|
61-60 |
185 |
5 |
125 |
0,41 |
0,0001666 |
0,03082 |
0,92 | |
|
60-59 |
215 |
4,77 |
125 |
0,38 |
0,0001666 |
0,035819 |
0,98 | |
|
59-63 |
105 |
0,867 |
90 |
0,14 |
0,0009268 |
0,097314 |
0,08 | |
|
63'-63 |
105 |
0,1333 |
90 |
0,02 |
0,0009268 |
0,097314 |
0,002 | |
|
63-62 |
105 |
2,46 |
90 |
15,5 |
0,0009268 |
0,097314 |
0,71 | |
|
63-57 |
105 |
1,347 |
90 |
4,87 |
0,0009268 |
0,097314 |
0,21 | |
|
57-56 |
95 |
0,733 |
90 |
0,12 |
0,0009268 |
0,088046 |
0,06 | |
|
57-58 |
95 |
1,96 |
90 |
9,54 |
0,0009268 |
0,088046 |
0,41 | |
|
59-58 |
235 |
5,205 |
200 |
0,82 |
0,00001426 |
0,0033511 |
0,11 | |
|
58-64 |
150 |
6,97 |
180 |
1,65 |
0,00002476 |
0,003714 |
0,22 | |
|
2-8 |
175 |
16,128 |
160 |
1,55 |
0,00004591 |
0,0080343 |
2,51 | |
|
8-9 |
180 |
16,128 |
180 |
1,55 |
0,00002476 |
0,0044568 |
1,39 | |
|
53-13 |
175 |
5,6337 |
180 |
0,89 |
0,00002476 |
0,004333 |
0,16 | |
|
13-9 |
100 |
0,87 |
90 |
0,14 |
0,0009268 |
0,09268 |
0,08 | |
|
13-14 |
240 |
4,329 |
140 |
0,68 |
0,00009162 |
0,0219888 |
0,49 | |
|
14-15 |
75 |
2,905 |
90 |
0,457 |
0,0009268 |
0,06951 |
0,703 | |
|
9-10 |
95 |
0,87 |
90 |
0,14 |
0,0009268 |
0,088046 |
0,08 | |
|
10-11 |
120 |
0,508 |
90 |
0,08 |
0,0009268 |
0,111216 |
0,03 | |
|
11-11' |
100 |
0,127 |
90 |
0,019 |
0,0009268 |
0,09268 |
0,001 | |
|
11-11" |
80 |
0,1016 |
90 |
0,01 |
0,0009268 |
0,074144 |
0,009 | |
|
11-11"' |
100 |
0,127 |
90 |
0,019 |
0,0009268 |
0,09268 |
0,002 | |
|
10-12 |
125 |
0,241 |
90 |
0,04 |
0,0009268 |
0,11585 |
0,01 | |
|
12-12' |
65 |
0,083 |
90 |
0,013 |
0,0009268 |
0,060242 |
0,0004 | |
|
9-15 |
210 |
15,862 |
140 |
1,5 |
0,00009162 |
0,0192402 |
5,81 | |
|
15-16 |
135 |
18,595 |
160 |
1,38 |
0,00004591 |
0,00619785 |
2,57 | |
|
16-17 |
75 |
0,1905 |
90 |
0,03 |
0,0009268 |
0,06951 |
0,003 | |
|
17-17' |
75 |
0,0952 |
90 |
0,015 |
0,0009268 |
0,06951 |
0,0007 | |
|
16-18 |
115 |
18,45 |
180 |
1,34 |
0,00002476 |
0,0028474 |
1,16 | |
|
14-69 |
160 |
1,1258 |
90 |
4,22 |
0,0009268 |
0,148288 |
0,23 | |
|
69-69' |
115 |
0,1461 |
90 |
0,023 |
0,0009268 |
0,106582 |
0,003 | |
|
69-68 |
340 |
0,548 |
90 |
0,09 |
0,0009268 |
0,315112 |
0,11 | |
|
64-65 |
350 |
6,526 |
250 |
1,03 |
0,000004454 |
0,0015589 |
0,079 | |
|
65'-65 |
120 |
0,1524 |
90 |
0,023 |
0,0009268 |
0,111216 |
0,003 | |
|
65-66 |
60 |
6,2974 |
90 |
2,09 |
0,0009268 |
0,055608 |
2,65 | |
|
66-67 |
130 |
6,1323 |
90 |
2,06 |
0,0009268 |
0,120484 |
5,44 | |
|
67'-67 |
410 |
0,5207 |
90 |
0,08 |
0,0009268 |
0,379988 |
0,12 | |
|
67-68 |
200 |
4,022 |
90 |
0,63 |
0,0009268 |
0,18536 |
3,6 | |
|
67-75 |
250 |
1,3355 |
90 |
0,21 |
0,0009268 |
0,2317 |
0,49 | |
|
68-70 |
275 |
4,221 |
90 |
0,66 |
0,0009268 |
0,25487 |
5,45 | |
|
70'-70 |
40 |
0,1587 |
90 |
0,025 |
0,0009268 |
0,037072 |
0,001 | |
|
70"-70 |
125 |
0,0508 |
90 |
0,008 |
0,0009268 |
0,11585 |
0,0004 | |
|
70-71 |
370 |
4,9 |
180 |
0,77 |
0,00002476 |
0,0091612 |
0,2639 | |
|
71-72 |
80 |
4,566 |
90 |
0,71 |
0,0009268 |
0,074144 |
1,85 | |
|
75-76 |
115 |
1,016 |
90 |
0,16 |
0,0009268 |
0,106582 |
0,13 | |
|
76-84 |
235 |
0,502 |
90 |
0,078 |
0,0009268 |
0,217796 |
0,076 | |
|
84-85 |
125 |
0,2731 |
90 |
0,042 |
0,0009268 |
0,11585 |
0,01 | |
|
85-85' |
90 |
0,1143 |
90 |
0,017 |
0,0009268 |
0,083412 |
0,001 | |
|
84-84' |
180 |
0,2286 |
90 |
0,04 |
0,0009268 |
0,166824 |
0,01 | |
|
76-77 |
290 |
0,3683 |
90 |
0,06 |
0,0009268 |
0,268772 |
0,04 | |
|
7Т-77 |
285 |
0,3619 |
90 |
0,06 |
0,0009268 |
0,264138 |
0,04 | |
|
77-78 |
115 |
0,854 |
90 |
0,13 |
0,0009268 |
0,106582 |
0,09 | |
|
71-78 |
135 |
1,331 |
90 |
4,87 |
0,0009268 |
0,125118 |
0,27 | |
|
71-72 |
80 |
4,566 |
90 |
0,72 |
0,0009268 |
0,074144 |
1,85 | |
|
78-79 |
110 |
2,502 |
90 |
15,5 |
0,0009268 |
0,101948 |
0,77 | |
|
86'-86 |
240 |
0,3048 |
90 |
0,05 |
0,0009268 |
0,222432 |
0,02 | |
|
86-79 |
220 |
0,5843 |
90 |
0,09 |
0,0009268 |
0,203896 |
0,08 | |
|
79-80 |
390 |
1,778 |
90 |
7,83 |
0,0009268 |
0,361452 |
1,37 | |
|
80'-80 |
150 |
0,1905 |
90 |
0,0009268 |
0,13902 |
0,006 | ||
|
80-81 |
450 |
1,0922 |
90 |
0,24 |
0,0009268 |
0,41706 |
0,6 | |
|
81-82 |
125 |
0,3048 |
90 |
0,047 |
0,0009268 |
0,11585 |
0,01 | |
|
82'-82 |
115 |
0,1461 |
90 |
0,023 |
0,0009268 |
0,106582 |
0,003 | |
|
81-83 |
85 |
0,2159 |
90 |
0,034 |
0,0009268 |
0,078778 |
0,04 | |
|
83'-83 |
85 |
0,1079 |
90 |
0,016 |
0,0009268 |
0,078778 |
0,001 | |
|
22-22 |
175 |
0,0572 |
90 |
0,009 |
0,0009268 |
0,16219 |
0,0006 | |
|
22"-22 |
45 |
0,2222 |
90 |
0,034 |
0,0009268 |
0,041706 |
0,002 | |
|
22-21 |
165 |
0,2667 |
90 |
0,042 |
0,0009268 |
0,152922 |
0,013 | |
|
21'-21 |
150 |
0,1905 |
90 |
0,029 |
0,0009268 |
0,13902 |
0,03 | |
|
21-19 |
80 |
0,5588 |
90 |
0,087 |
0,0009268 |
0,074144 |
0,03 | |
|
19-20 |
140 |
0,927 |
90 |
0,146 |
0,0009268 |
0,129752 |
0,13 | |
|
20-20' |
75 |
0,0952 |
90 |
0,014 |
0,0009268 |
0,06951 |
0,0008 | |
|
20-20" |
45 |
0,5715 |
90 |
0,09 |
0,0009268 |
0,041706 |
0,02 | |
|
20-20'" |
40 |
0,0508 |
90 |
0,008 |
0,0009268 |
0,037072 |
0,0001 | |
|
20-20"" |
25 |
0,0317 |
90 |
0,005 |
0,0009268 |
0,02317 |
0,00003 | |
|
19-18 |
100 |
1,6128 |
90 |
7,03 |
0,0009268 |
0,09268 |
0,29 | |
|
1848 |
25 |
0,0317 |
90 |
0,005 |
0,0009268 |
0,02317 |
0,00003 | |
|
18-23 |
25 |
16,488 |
140 |
1,6 |
0,00009162 |
0,0022905 |
0,75 | |
|
23'-23 |
195 |
0,2477 |
90 |
0,039 |
0,0009268 |
0,180726 |
0,01 | |
|
23-24 |
95 |
16,12 |
140 |
1,55 |
0,00009162 |
0,0087039 |
2,71 | |
|
24'-24 |
65 |
0,0825 |
90 |
0,013 |
0,0009268 |
0,060242 |
0,0005 | |
|
24-25 |
75 |
15,94 |
160 |
1,55 |
0,00004591 |
0,0034425 |
1,05 | |
|
25'-25 |
150 |
0,1905 |
90 |
0,03 |
0,0009268 |
0,13902 |
0,006 | |
|
25-26 |
40 |
15,701 |
140 |
1,52 |
0,00009162 |
0,0036648 |
1,08 | |
|
26'-26 |
40 |
0,0508 |
90 |
0,008 |
0,0009268 |
0,037072 |
0,0001 | |
|
26-27 |
230 |
3,4889 |
90 |
0,8 |
0,0009268 |
0,213164 |
3,11 | |
|
27-28 |
75 |
0,9398 |
90 |
0,22 |
0,0009268 |
0,06951 |
0,07 | |
|
28'-28 |
400 |
0,3365 |
90 |
0,053 |
0,0009268 |
0,37072 |
0,05 | |
|
28"-28 |
265 |
0,508 |
90 |
0,08 |
0,0009268 |
0,245602 |
0,08 | |
|
27-32 |
515 |
1,895 |
110 |
9,54 |
0,0003239 |
0,1668085 |
0,72 | |
|
26-29 |
110 |
11,809 |
120 |
1,04 |
0,0001667 |
0,018337 |
3,07 | |
|
29-48 |
285 |
5,638 |
160 |
0,89 |
0,00004591 |
0,01308435 |
0,49 | |
|
48'-48 |
50 |
0,0635 |
90 |
0,01 |
0,0009268 |
0,04634 |
0,002 | |
|
48-49 |
150 |
5,384 |
90 |
0,85 |
0,0009268 |
0,13902 |
4,84 | |
|
49'-49 |
50 |
0,0635 |
90 |
0,01 |
0,0009268 |
0,04634 |
0,0002 | |
|
49-50 |
100 |
5,194 |
110 |
0,82 |
0,0003239 |
0,03239 |
1,04 | |
|
50'-50 |
100 |
0,127 |
90 |
0,02 |
0,0009268 |
0,09268 |
0,002 | |
|
50-51 |
70 |
4,978 |
90 |
0,78 |
0,0009268 |
0,064876 |
1,9 | |
|
51'-51 |
125 |
0,127 |
90 |
0,02 |
0,0009268 |
0,11585 |
0,02 | |
|
51 "-51 |
100 |
0,1587 |
90 |
0,025 |
0,0009268 |
0,09268 |
0,003 | |
|
29-30 |
215 |
5,537 |
90 |
0,87 |
0,0009268 |
0,199262 |
7,33 | |
|
30'-30 |
65 |
0,0825 |
90 |
0,012 |
0,0009268 |
0,060242 |
0,0005 | |
|
30-31 |
215 |
5,1814 |
90 |
0,81 |
0,0009268 |
0,199262 |
6,42 | |
|
31-93 |
15 |
2,366 |
90 |
13,4 |
0,0009268 |
0,013902 |
0,09 | |
|
93'-93 |
75 |
0,0952 |
90 |
0,015 |
0,0009268 |
0,06951 |
0,0008 | |
|
33'-33 |
35 |
0,0444 |
90 |
0,007 |
0,0009268 |
0,032438 |
0,008 | |
|
33-32 |
130 |
0,2095 |
90 |
0,033 |
0,0009268 |
0,120484 |
0,006 | |
|
32-93 |
145 |
1,501 |
90 |
6,27 |
0,0009268 |
0,134386 |
0,36 | |
|
93-87 |
135 |
1,753 |
90 |
7,83 |
0,0009268 |
0,125118 |
0,46 | |
|
87-87' |
90 |
0,1143 |
90 |
0,02 |
0,0009268 |
0,083412 |
0,001 | |
|
87-88 |
185 |
1,467 |
90 |
5,55 |
0,0009268 |
0,171458 |
0,44 | |
|
90'-90 |
60 |
0,0762 |
90 |
0,001 |
0,0009268 |
0,05561 |
0,0004 | |
|
90-89 |
135 |
0,2476 |
90 |
0,04 |
0,0009268 |
0,125118 |
0,009 | |
|
89-88 |
485 |
0,8636 |
90 |
0,14 |
0,0009268 |
0,449498 |
0,4 | |
|
88-91 |
110 |
0,3683 |
90 |
0,06 |
0,0009268 |
0,101948 |
0,016 | |
|
91'-91 |
65 |
0,0825 |
90 |
0,012 |
0,0009268 |
0,060242 |
0,0005 | |
|
92"-91 |
120 |
0,1461 |
90 |
0,022 |
0,0009268 |
0,106582 |
0,003 | |
|
91-92 |
620 |
0,8763 |
90 |
0,14 |
0,0009268 |
0,574616 |
0,53 | |
|
91-92 |
620 |
0,8763 |
90 |
0,14 |
0,0009268 |
0,574616 |
0,53 | |
|
92-92' |
70 |
0,0889 |
90 |
0,014 |
0,0009268 |
0,064876 |
0,0006 | |
|
31-34 |
35 |
2,771 |
90 |
17,8 |
0,0009268 |
0,032438 |
0,3 | |
|
34-34' |
65 |
0,0815 |
90 |
0,013 |
0,0009268 |
0,060242 |
0,0005 | |
|
34-35 |
25 |
2,657 |
90 |
16,6 |
0,0009268 |
0,02317 |
0,19 | |
|
35-35' |
25 |
0,0317 |
90 |
0,005 |
0,0009268 |
0,02317 |
0,00003 | |
|
35-36 |
45 |
2,567 |
90 |
15,5 |
0,0009268 |
0,041706 |
0,33 | |
|
36-37 |
130 |
1,245 |
90 |
4,22 |
0,0009268 |
0,120484 |
0,22 | |
|
37-37' |
70 |
0,0889 |
90 |
0,014 |
0,0009268 |
0,064875 |
0,0006 | |
|
37-38 |
15 |
0,991 |
90 |
0,24 |
0,0009268 |
0,013902 |
0,01 | |
|
38-38' |
25 |
0,0317 |
90 |
0,005 |
0,0009268 |
0,02317 |
0,00003 | |
|
38-39 |
135 |
0,9399 |
90 |
0,22 |
0,0009268 |
0,125118 |
0,13 | |
|
39-39' |
20 |
0,0254 |
90 |
0,004 |
0,0009268 |
0,018536 |
0,00001 | |
|
39-40 |
100 |
0,7429 |
90 |
0,12 |
0,0009268 |
0,09268 |
0,061 | |
|
40'-40 |
225 |
0,2857 |
90 |
0,04 |
0,0009268 |
0,20853 |
0,02 | |
|
40-41 |
160 |
0,3302 |
90 |
0,05 |
0,0009268 |
0,148286 |
0,02 | |
|
41-41' |
100 |
0,127 |
90 |
0,02 |
0,0009268 |
0,09268 |
0,002 | |
|
36-42 |
115 |
1,78 |
90 |
7,83 |
0,0009268 |
0,106582 |
0,41 | |
|
47-47' |
50 |
0,0635 |
90 |
0,01 |
0,0009268 |
0,04634 |
0,0002 | |
|
47-47" |
25 |
0,0317 |
90 |
0,005 |
0,0009268 |
0,02317 |
0,00003 | |
|
47-47'" |
65 |
0,0825 |
90 |
0,013 |
0,0009268 |
0,060247 |
0,0005 | |
|
47-46 |
40 |
0,2286 |
90 |
0,04 |
0,0009268 |
0,037072 |
0,002 | |
|
46-46' |
40 |
0,0508 |
90 |
0,008 |
0,0009268 |
0,037072 |
0,0001 | |
|
46-46" |
25 |
0,0317 |
90 |
0,005 |
0,0009268 |
0,02317 |
0,00003 | |
|
46-45 |
85 |
0,4191 |
90 |
0,065 |
0,0009268 |
0,078778 |
0,02 | |
|
45-45' |
40 |
0,0508 |
90 |
0,008 |
0,0009268 |
0,037072 |
0,0001 | |
|
45-44 |
75 |
0,565 |
90 |
0,09 |
0,0009268 |
0,06951 |
0,03 | |
|
44'-44 |
95 |
0,1206 |
90 |
0,02 |
0,0009268 |
0,088046 |
0,002 | |
|
44-43 |
90 |
0,8 |
90 |
0,125 |
0,0009268 |
0,083412 |
0,06 | |
|
43-43' |
250 |
0,3175 |
90 |
0,05 |
0,0009268 |
0,2317 |
0,03 | |
|
43-42 |
115 |
1,263 |
90 |
4,22 |
0,0009268 |
0,106582 |
0,2 | |
|
42-74 |
30 |
2,479 |
90 |
14,4 |
0,0009268 |
0,027804 |
0,21 | |
|
74-74' |
115 |
0,1405 |
90 |
0,02 |
0,0009268 |
0,106582 |
0,003 | |
|
74-74" |
50 |
0,0635 |
90 |
0,01 |
0,0009268 |
0,04634 |
0,0002 | |
|
74-73 |
215 |
2,689 |
110 |
16,6 |
0,0003239 |
0,0696385 |
0,6 | |
|
73'-73 |
370 |
0,4699 |
90 |
0,073 |
0,0009268 |
0,342916 |
0,1 | |
|
73-72 |
110 |
3,9815 |
90 |
0,63 |
0,0009268 |
0,101948 |
1,94 | |
|
72v-72 |
380 |
0,4826 |
90 |
0,076 |
0,0009268 |
0,352184 |
0,1 | |
|
72-71 |
80 |
4,566 |
90 |
0,72 |
0,0009268 |
0,074144 |
1,9 | |
