Изучение оценки биологической безопасности продукции птицеводства на лабораторных животных
В миокарде (Рис.7) отмечается наличие кровоизлияний, гиперемия сосудов, умеренная очаговая зернистая дистрофия.
В легких (Рис. 8) отмечается гиперемия сосудов. Междольковые и межальвеолярные перегородки расширены. Альвеолы заполнены воздухом и жидкостью, содержащей незначительное количество белковых веществ и клеточных элементов.
При скармливании крысам мяса цыплят-бройлеров, содержащег
о свинец, установлено, что в печени (Рис. 9 ) гепатоциты в состоянии умеренной зернистой или очаговой жировой дистрофии, балочное строение долек печени сохранено, венозные синусы расширены, гепатоциты несколько набухшие с мутноватой цитоплазмой, ядра сохранены, контуры их сглажены. В отдельных дольках обнаруживаются группы клеток, в цитоплазме которых выявляются жировые капли различной величины.
Наряду с отмеченными изменениями на периферии отдельных долек отмечаются гепатоциты в состоянии некроза.
В качестве основных изменений в структуре почек (Рис. 10) на первый план выступает зернистая дистрофия основной массы эпителия извитых канальцев, петель Генли и собирательных трубочек, а также очаговый некроз эпителия канальцев. Поражения интерстициальной ткани имеет характер отдельных очагов. В миокарде (Рис.11) сосуды гиперемированы, поперечная исчерченость ослаблена в отдельных участках мышцы. Отмечается умеренная зернистая дистрофия. В легких (Рис. 12) отмечается гиперемия сосудов. Междольковые и межальвеолярные перегородки несколько расширены, альвеолы заполнены воздухом и жидкостью, содержащей незначительное количество белковых веществ и клеточных элементов.
Рисунок 1. Печень. Группа № 1 (контроль)
Печень имеет характерное дольчатое строение. Гепатоциты формируют четко выраженные, радиально лежащие балки. (Увел.400).
Рисунок 2. Почки. Группа № 1 (контроль). Паренхима органа состоит из четко выраженного периферического коркового вещества и мозгового слоя. (Увел.400).
Рисунок 3. Сердце. Группа № 1 (контроль).
Эпикард и эндокард имеет свойственное им строение (Увел. 400).
Рисунок 4. Легкие. Группа № 1 (контроль)
Имеют характерное строение воздухоносных путей и респираторного отдела. (Увел. 400).
Рисунок 5. Печень. Группа № 2 .
В паренхиме обнаруживаются очаги выраженной зернистой дистрофии с признаками дистрофического ожирения и участками некроза (Увел.400).
Рисунок 6. Почки. Группа № 2
Зернистая дистрофия основной массы эпителия извитых канальцев (Увел. 400).
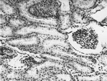
Рисунок 7. Сердце. Группа № 2
В миокарде отмечается наличие кровоизлияний, гиперемия сосудов, умеренная очаговая зернистая дистрофия (Увел.400).
Рисунок 8. Легкие. Группа № 2
Гиперемия сосудов. Альвеолы заполнены воздухом и жидкостью, содержащей белковые вещества и клеточные элементы (Увел.400).
Рисунок 9. Печень. Группа № 3
В клетках печени обнаруживается наличие дистрофического ожирения с признаками зернистой дистрофии. В пораженных участках долек гепатоциты увеличены (Увел.400).
Рисунок 10. Почки. Группа № 3
Изменения структуры почек носят очаговый характер. Некротические изменения выражены в меньшей степени и носят менее распространенный характер (Увел.400).
Рисунок 11. Сердце. Группа № 3
В миокарде гиперемия сосудов, умеренная зернистая дистрофия (Увел.400).
Рисунок 12. Легкие. Группа № 3
Кровеносные сосуды инъецированы. Междольковые перегородки расширены (Увел.400).
Заключение
Актуальной проблемой обеспечения экологически чистого питания населения является максимально возможная безопасность пищевых продуктов, которые могут являться источником и носителем большого числа потенциально опасных и токсичных веществ.
Поэтому изучение влияния свинца и кадмия на безопасность мяса цыплят-бройлеров при накапливании в нём токсикоэлементов является весьма актуальным.
Свинец - и кадмийсодержащие соединения поступали крысам в составе мяса цыплят-бройлеров в течение двух недель.
В ходе исследований было установлено, что больше всего свинца накапливается в органах крыс, причем больше всего он содержится в почках и составляет 11,85 ± 0,12 мг/кг. Если сравнивать с контрольной группой, то содержание свинца больше в 24 раза (Р<0,001).
В печени уровень свинца больше в 15 раза, а в сердце 13 раз и составляет – 7,58 ± 0,67 мг/кг и 5,61 ± 0,47 мг/кг соответственно.
При поступлении в организм крыс соединения кадмия на протяжении двух недель, его содержание также больше всего увеличивается в органах крыс.
Содержание токсикоэлемента составляет: в почках – 0,94 ± 0,21 мг/кг, в печени – 0,71 ± 0,62 мг/кг и в сердце –0,75 ± 0,32 мг/кг, т.е. это количество больше, чем в контрольной группе: в почках в 35,7 (Р<0,001), в печени – 23 раза (Р<0,001) и в сердце – в 28 раз (Р<0,01).
При поступлении в организм крыс соединений свинца и кадмия с мясом происходит увеличение показателей ферментов сыворотки крови (аспарагиновой аминотрансферазы (АсАТ), аланиновой аминотрансферазы (АлАТ) и щелочной фосфатазы), что указывает на патологические изменения в организме.
При скармливании крысам мяса цыплят-бройлеров, содержащего свинец в органах выявлены патологические изменения: дистрофия паренхиматозных клеток печени; в почках - жировая инфильтрация с преимущественным поражением прямых канальцев, которая сочетается с умеренной зернистой дистрофией; в миокарде отмечается гиперемия сосудов, очаговое кровоизлияние, зернистая дистрофия миоцитов; в легких обнаруживается гиперемия кровеносных сосудов, бронхиальный эпителий в состоянии слизистой дистрофии, десквамирован.
При скармливании крысам мяса цыплят-бройлеров, содержащего кадмий, в органах выявлены патологические изменения: в клетках печени обнаруживается наличие дистрофического ожирения с признаками зернистой дистрофии. В пораженных участках долек гепатоциты долек гепатоциты увеличены. Изменения структуры почек носят очаговый характер. Некротические изменения выражены в меньшей степени и носят менее распространенный. В миокарде гиперемия сосудов, умеренная зернистая дистрофия. В лёгких - кровеносные сосуды инъецированы. Междольковые перегородки расширены.
Выводы
1) При поступлении в организм крыс соединений свинца и кадмия на протяжении двух недель, их уровень больше всего увеличивается в органах крыс, особенно в почках.
Другие рефераты на тему «Сельское, лесное хозяйство и землепользование»:
- Изучение оценки биологической безопасности продукции птицеводства на лабораторных животных
- Государственная поддержка сельскохозяйственных предприятий
- Особенности современного рынка труда в аграрном секторе Украины
- Акушерство, гинекология и искусственное осеменение сельскохозяйственных животных
- Сахарная свекла – главный источник сахара в России
Поиск рефератов
Последние рефераты раздела
- Выращивание цветочных растений в закрытым и открытом грунте в условиях континентального климата центра России
- Выращивание ремонтного молодняка кур
- Вирусные болезни сельскохозяйственных животных
- Влияние водопроницаемости биологически активного слоя чернозема выщелоченного на развитие водной эрозии
- Влияние различных норм расхода гербицида дублон голд на силосную продуктивность и качество урожая кукурузы
- Выращивание картофеля
- Грубые корма
